【イワシトルネード】モアルボアルに行ってきました!
こんにちは。
セブ島英語学校Stargate(スターゲート)の学生アシタントスタッフCaryn(キャリン)です。
今回わたしたちは、クリスマス当日で忙しくするフィリピン人を尻目に、モアルボアルというリゾート地まで行ってきました。
1.モアルボアルとは

南北に長いセブ島。
地図上の青い印がStargateのあるセブ市の中心地です。
普段セブ市中心の賑やかな雰囲気に慣れている私たちは、ときどき青い海、白い砂浜が恋しくなります。
そこで、今回Stargateのアクティビティとして選ばれたのがモアルボアル。
セブにいて気軽に行けるリゾートといえば、セブへの玄関マクタン空港のあるマクタン島ですが、セブ本島の西岸にある唯一のリゾートエリアがモアルボアルです。
セブ市中心から南方面に70km下った西岸。
マクタン島みたくシャングリラなどの高級リゾートホテルが立ち並んでいるわけでもなく、地元民が利用しそうな食堂やお店、高級ホテルはないけどゲストハウスなどがあり、なんだかのんびりしていてリラックスできるリゾートです。

モアルボアルから船に揺られること30分、ペスカドール島という絶好のダイビングスポットがあることで、世界各地からダイバーが集まります。
2.アイランドホッピング
アイランドホッピングはセブ島で大人気のアクティビティ。
セブ島近海の小さな離島へボートに乗り込み、シュノーケリングをしたり、BBQをしたり、島に降りて海に遊びに行くことなどを指します。
さて、朝6:00出発のわたしたちが車に揺られること2時間で到着、お昼ご飯の調達を済ませて、船に乗り、噂のペスカドール島に向かいます。

こんな船に乗って、エンジン音を響かせながら揺られて、
はい、到着!
実はクリスマス2日前までの一週間、天気があまりよくなかったので心配していましたが、当日はとても晴れてくれました。
まずはシュノーケリングスポットから!

さっそく船を飛び降り潜ってみると、、
いるいる!魚いっぱいいる!
潜ったらすぐ魚に出会える感じでかなりいました。
みんな魚に負けないくらい泳いで楽しみました。
その間に船に若干名戻ってきたクラゲに気に入られちゃった組、、
そんな時はこれ
はい、Stargateラウンジにあるこのお知らせです。
よく見てみると、
対処法が書いてありますね。
セブでは日本と違い年中通して、海水浴ができるので、海に行く前にちらっとこちらをチェックしてみてくださいね!
わたしもクラゲに好かれた組ですが、お酢をしっかりかけたら痛みも腫れも治まりました。
船にやや残るお酢の香りとともに、、
タートルポイントに移動!
ここは海に潜ればウミガメちゃんに出会える!といわれるシュノーケルスポットです。
(おや、いない?)
とにかく泳いで泳いでウミガメ探しに必死なStargate御一行。
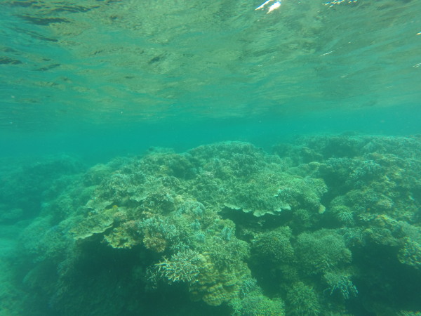
やたらサンゴ礁だらけやん!と思いつつ進んでいく先に

いた♡
必死でウミガメチェイスしたのち、

こんなに近くで一緒に泳げました。
ウミガメを見て満足したStargate御一行さんは次のシュノーケルスポットに向かう。
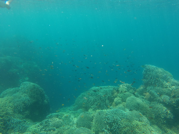
サーディンポイントに移動
サーディンは日本語でいわし。
いわしポイントに移動。
これね。
移動中こんないわしを想像しながら船に揺られ到着。

水面から何やら怪しい影を確認。
ていっ!
(!)
(!!)
いわしトルネード!!!

想像を絶するいわし数に一同唖然(笑)
いわしの大群を恐れず近づいてみると、いわしトルネードの向きがガサっとかわりなんかおもしろい!
写真はありませんがラッキーなことにここでもウミガメをみることができました。
ホワイトサンドビーチでランチ
船でくつろいでいたらあっという間にビーチに到着。
ここがホワイトサンドビーチ。

白い砂にサンゴ礁がゴロゴロ。
お腹を空かせた御一行は出発前に用意したライス、バミというフィリピンのヌードル、ポークステーキ、ソーセージをさらっと食べきります。(結構な量でしたが笑)
このビーチも少し満喫して、学校まで爆睡で戻ります。
3.さいごに

以上がStargate週末アクティビティの様子でした。
平日は英語学習に集中して、週末はセブにいる貴重な時間に観光も楽しむ。
おいしいとこどりのStargate校です。
学校アクティビティの良さは、安心安全、普段勉強している仲間と行ける、学校から出発して学校まで送ってもらえる、料金設定が一般のツアー会社より格安、などが挙げられます。
今後もスタッフ一同、皆さんに楽しんでいただけるような学校アクティビティを提供したいと思いますのでおたのしみに!






























































